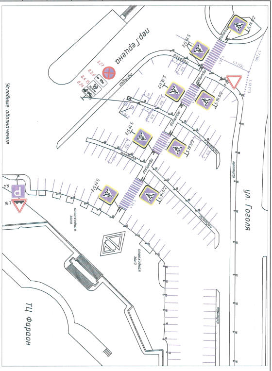
В Ярославле ограничат парковку из-за зарядных станций для электромобилей
YarNews.net фото: Мэрия Ярославля Предупреждение для водителей выпустили в мэрии города.
Предупреждение для водителей выпустили в мэрии города.
Изменения коснутся сразу двух участков дорог в Ярославле. Необходимо это как для размещения зарядных станций для электротранспорта, так и для обеспечения безопасности дорожного движения.
«…на парковочной площадке у ТЦ «Фараон», между ул. Гоголя и пер. Герцена, и на автомобильной дороге ул. Пушкина, на участке от ул. Победы до ул. Чайковского, с 14.02.2025 вводятся изменения в части установки дорожных знаков, в том числе ограничения остановки и стоянки транспортных средств», — пояснили в мэрии Ярославля.
Напомним, ранее власти уже вводили дополнительный запрет на парковку напротив «Ауры».
Последние новости

Рыбинская городская прокуратура по поручению прокуратуры Ярославской области организовала проверку по материалам средств массовой информации о причинении вреда здоровью подростка
Рыбинская городская прокуратура по поручению прокуратуры Ярославской области организовала проверку по материалам средств массовой информации о причинении вреда здоровью подростка в Рыбинске.

В рамках работы по правовому просвещению заместитель начальника управления по надзору за исполнением федерального законодательства прокуратуры Ярославской области Ольга Гарина про
В рамках работы по правовому просвещению заместитель начальника управления по надзору за исполнением федерального законодательства прокуратуры Ярославской области Ольга Гарина провела лекцию для студентов Ярославского ф
Ярославские росгвардейцы помогли водителю, пострадавшему в ДТП
YarNews.net фото: Управление Росгвардии по Ярославской области Об этом сообщили в пресс-службе регионального управления ведомства.
Потребительский кредит без боли: как не стать жертвой долговой ямы
Как взять кредит с умом и не пожалеть об этом спустя пару месяцев